ట్రెండింగ్
Epaper    English    தமிழ்

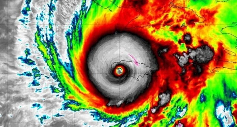
అత్యంత భయంకర రికార్డు.. మెలిస్సా హరికేన్ 405 కి.మీ./గం వేగంతో ప్రపంచాన్ని ఆశ్చర్యపరిచింది!

international |  Suryaa Desk  | Published : Thu, Nov 20, 2025, 01:52 PM

కరీబియన్ సముద్రంలో ఏర్పడిన హరికేన్ మెలిస్సా ఒక్కసారిగా ప్రపంచ చరిత్రలో అత్యంత శక్తివంతమైన తుఫానుగా అవతరించింది. అమెరికాకు చెందిన నేషనల్ సైన్స్ ఫౌండేషన్ (NSF) మరియు NCAR శాస్త్రవేత్తలు ధృవీకరించిన ప్రకారం, ఈ తుఫాను గరిష్ఠంగా గంటకు 252 మైళ్లు (405 కిలోమీటర్లు) వేగంతో విరుచుకుపడింది. ఇది ఇప్పటివరకు రికార్డు చేయబడిన ఏ హరికేన్ లేదా టైఫూన్ కంటే ఎక్కువ వేగం కావడం విశేషం. ఈ భయానక రికార్డు జమైకా దిశగా తుఫాను ప్రయాణిస్తున్న సమయంలో నమోదైంది.
గతంలో 2010లో పశిమ పసిఫిక్‌లో టైఫూన్ మెగీ నమోదు చేసిన 248 మైళ్ల (399 కి.మీ./గం) రికార్డును మెలిస్సా సులభంగా అధిగమించింది. శాస్త్రవేత్తలు ఈ వేగం “సాధారణ గ్రహించదగిన హద్దులను మించినది” అని అభివర్ణిస్తున్నారు. ఇంత ఉన్మాద వేగం వల్ల తుఫాను కేంద్రంలో ఒత్తిడి అతి తక్కువ స్థాయికి పడిపోవడం, దాంతో గాలులు ఊహించని శక్తిని సంతరించుకోవడం జరిగింది. ఇది వాతావరణ శాస్త్రజ్ఞులను కూడా ఆశ్చర్యానికి గురిచేసింది.
కరీబియన్‌లోని ఎన్నో చిన్న ద్వీపాలు మెలిస్సా ధాటికి పూర్తిగా నేలమట్టమయ్యాయి. ఇళ్లు, రోడ్లు, విద్యుత్ వ్యవస్థలు ధ్వంసమై, సమాచార, ఆహార సరఫరా పూర్తిగా తెగిపోయింది. ఇప్పటివరకు అధికారికంగా 70 మందికి పైగా మరణించినట్లు నిర్ధారణ అయింది, అయితే నష్టం మరింత ఎక్కువగా ఉండొచ్చని అంచనా వేస్తున్నారు. జమైకా, క్యూబా, హైతీ, డొమినికన్ రిపబ్లిక్ దేశాలు అత్యవసర పరిస్థితి ప్రకటించాయి.
ప్రపంచవ్యాప్తంగా వాతావరణ నిపుణులు ఒక్కసారిగా ఆందోళన వ్యక్తం చేస్తున్నారు. సముద్ర ఉష్ణోగ్రతలు అసాధారణంగా పెరగడం వల్ల ఇలాంటి “హైపర్ హరికేన్లు” భవిష్యత్తులో తరచూ రావొచ్చని హెచ్చరిస్తున్నారు. మెలిస్సా కేవలం ఒక తుఫాను మాత్రమే కాదు – ఇది భవిష్యత్తులో మనం ఎదుర్కొనబోయే ప్రకృతి ఆగోంగళానికి ముందస్తు సంకేతంగా కనిపిస్తోంది.






SURYAA NEWS, synonym with professional journalism, started basically to serve the Telugu language readers. And apart from that we have our own e-portal domains viz,. Suryaa.com and Epaper Suryaa